Visiting Air Crew

Although a PPR is not required, please contact Air Station Traverse City's Flight Scheduling Officer or Maintenance Officer with the following information:
1. Aircraft type
2. Estimated date/time of arrival
3. Estimated date/time of departure
4. Special services required
| Phone Numbers |
| |
|
|
| Flight Scheduling Officer |
|
(231) 922-8225 |
| Maintenance Officer |
(231-922-8251 |
| Operations Center |
(231) 922-8211 / 8212 |
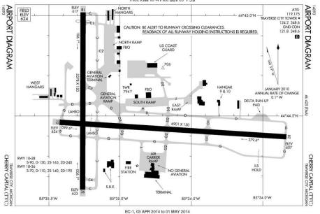
Airport Diagram

This airport diagram is for reference only. Please search "KTVC" on the Federal Aviation Administration's website for the most current diagram.